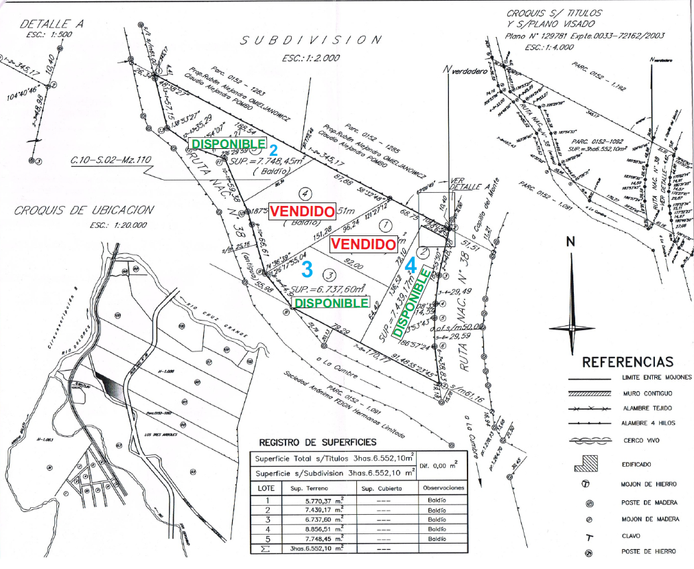
Lotes con vista a la sierras entre la Ruta 38 y el Rio Dolores, altura kilómetro 72, La Cumbre.
Aptos para escriturar, con agua y electricidad.
Lote 1: 6.954,80 metros cuadrados; USD35.000.
Lote 2: 7.748,45 metros cuadrados; USD35.000.
Lote 3: 6.737,60 metros cuadrados; USD30.000.
Lote 4: 7.439,17 metros cuadrados; USD70.000
| Título | Precio | Estado | Tipo | Superficie | Uso | Habitaciones | Baños |
|---|